o2t Logo
o2t Logo
 

„Jaworzno to miejsce symbolicznego spotkania hitleryzmu i komunizmu. W 1945 roku komuniści przejęli filię hitlerowskiego obozu Neu Dachs (…). Polskich, angielskich i rosyjskich więźniów zastąpili więźniowie niemieccy, ukraińscy i polscy”.
Prof. Ryszard Terlecki

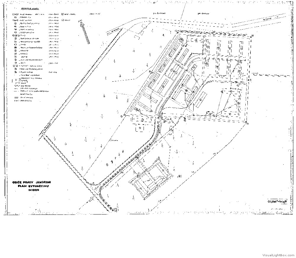
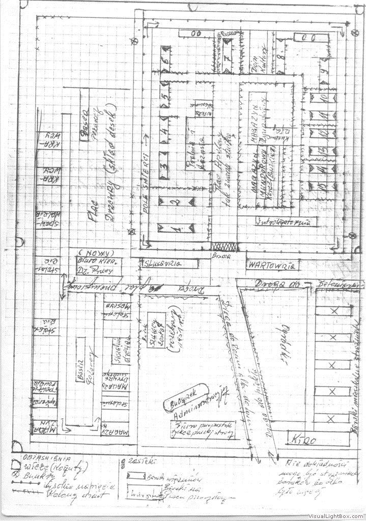
Plany

Plan baraku warsztatowego usytowanego w obozie zewnętrznym. Kuchnia i pomieszczenia gospodarcze w koszarach SS. Plan instalacji elektrycznej podobozu Neu Dachs. Ogrodzenie z drutu kolczastego pod napięciem z betonowymi słupami. Plan garaży usytuowanych obok wartowni. Barak mieszkalny dla SS-manów z załogi obozu Narożna wieża strażnicza obozu Neu Dachs Plan ogólny obozu Neu Dachs Plan obozowej odwszalni Plan COP nałożony na plan podobozu Neu Dachs Plan odręczny COP 1949 Kotłownia Kuchnia obozowa i magazyn żywności Plan obozowej odwszalni Budynek łaźni Plan fundamentów obozowego szpitala Plan szpitala

Dofinansowane ze środków MHP w ramach Programu "Patriotyzm Jutra"
Honorowy Patronat: Prezesa Instytutu Pamięci Narodowej oraz Sekretarza Rady Ochrony Pamięci Walk i Męczeństwa

Muzeum Miasta Jaworzna Urząd Miasta Jaworzna Muzeum Historii Polski

Patronat medialny:

Radio Katowice Dziennik Zachodni Nasze Miasto